When Should You Start Mosquito Treatments in the Mechanicsville & Richmond Virginia area?
When Should You Start Mosquito Treatments in Virginia?

If you’re asking when to start mosquito treatments in Virginia, the answer is simple: earlier than you think.
In areas like Mechanicsville and the greater Richmond region, mosquito activity can begin as early as March and quickly ramps up through May and June. Waiting until you’re getting bitten usually means you’re already behind.
When Do Mosquitoes Become Active in Virginia?
Mosquitoes thrive when temperatures consistently stay above 50°F. In Central Virginia, that typically happens in early spring. Once that warmth hits — especially after rain — mosquito populations begin to explode.
By May, many homeowners are already dealing with heavy activity in their yards.
Why Starting Early Matters
The biggest mistake homeowners make is waiting until mosquitoes are a problem.
- They reproduce quickly — even small amounts of standing water can produce hundreds
- Once populations build, they’re harder to control
- You lose valuable outdoor time during peak spring and summer months
Starting treatments early helps prevent the population from ever getting out of control.
What’s the Ideal Mosquito Treatment Schedule?
For most homes in Virginia, a professional mosquito control program runs from March through September with monthly treatments.
This approach:
- Breaks the mosquito life cycle
- Keeps populations consistently low
- Protects your yard during peak outdoor season
What Attracts Mosquitoes to Your Yard?
Even well-maintained yards can attract mosquitoes. The most common causes include:
- Standing water (gutters, toys, planters)
- Dense vegetation and shaded areas
- High humidity and poor airflow
While reducing these helps, it’s often not enough to fully eliminate the problem.
Are Mosquito Treatments Worth It?
For many homeowners, the answer is yes — especially if you enjoy spending time outside.
Professional treatments allow you to:
- Use your yard without constant bites
- Protect your family and pets
- Enjoy outdoor gatherings, cookouts, and evenings again
Protect Your Yard Before Mosquito Season Peaks
If you’re in Mechanicsville or the surrounding Richmond area, now is the time to act.
At All-Stars Pest Control, our Yard Guard program is designed to keep your outdoor spaces comfortable all season long.
Don’t wait until mosquitoes take over your yard — get ahead of them.
How Much Damage Can Termites Cause in One Year?
How Much Damage Can Termites Cause in One Year?
The Truth About Silent Destruction in Your Home
The Short Answer: More Than You Think
Termites do not take breaks. They do not stop feeding. And they can cause serious structural damage long before a homeowner ever notices a problem.
In just one year, termites can cause thousands of dollars in damage to a home or business. At All-Stars Pest Control, we have seen small hidden infestations turn into major repair issues when termites are left untreated.
How Fast Do Termites Actually Eat?

Subterranean termites are the most common and destructive termites in Virginia. A typical colony can range from 60,000 to well over 1 million termites.
While one termite is tiny, a full colony works nonstop. Together, they can consume wood and other cellulose materials every single day.
That daily feeding may seem minor at first, but over the course of a year, the damage can become severe.
What That Means Over One Year
Termites damage wood slowly, silently, and from the inside out. That is what makes them so dangerous.
Over the course of one year, an active termite colony may:
- Hollow out support beams
- Damage floor joists
- Weaken wall studs
- Compromise subflooring
- Create structural instability in crawl spaces and other wood-framed areas
Because this damage often happens behind walls, under floors, or inside crawl spaces, many homeowners do not realize they have a problem until the infestation has already been active for quite some time.
What Termite Damage Looks Like in Virginia Homes

In homes across Mechanicsville and Central Virginia, termite damage often shows up in a few common ways.
- Mud tubes along foundation walls
- Soft, blistering, or hollow-sounding wood
- Sagging floors
- Wood damage in crawl spaces
- Doors and windows that suddenly become hard to open or close
By the time these signs appear, termites may have already been feeding for months or even years.
How Expensive Can the Damage Get?
Termite damage is not just frustrating. It can also be very expensive.
- Minor damage: $500 to $3,000
- Moderate damage: $3,000 to $10,000
- Severe structural repairs: $10,000 or more
One of the biggest surprises for homeowners is that most insurance policies do not cover termite damage. Insurance companies typically view termite issues as preventable through routine inspection and maintenance.
Why Termites Are So Destructive
Termites are built to stay hidden and keep feeding. They travel through soil and mud tubes to reach wood while staying protected from light and dry air.
That means they can remain active out of sight while steadily damaging the structural components of your home.
They are especially drawn to:
- Moisture-prone areas
- Crawl spaces
- Wood-to-soil contact
- Untreated structural lumber
Early Warning Signs to Watch For
Catching termites early is one of the best ways to limit damage and reduce repair costs.
Watch for these warning signs:
- Swarming termites in the spring
- Discarded wings near windows or doors
- Mud tubes on foundation walls or piers
- Soft or damaged wood
- Areas of wood that sound hollow when tapped
How to Protect Your Home
If you want to protect your home from costly termite damage, prevention and early detection are key.
- Schedule annual termite inspections
- Address moisture problems quickly
- Reduce wood-to-soil contact around the foundation
- Install a professional termite treatment or monitoring system
At All-Stars Pest Control, we help homeowners identify termite risks early and recommend the right treatment plan for long-term protection.
The All-Stars Advantage
When you choose All-Stars Pest Control, you are getting more than a quick inspection. You are getting a family-owned company that believes in honest recommendations, clear communication, and long-term protection.
- Thorough termite inspections
- Honest, no-pressure service
- Proven treatment solutions
- Local experience you can trust
Do Not Wait Until the Damage Gets Worse
If termites can cause this much damage in just one year, waiting only gives them more time to work.
The earlier you catch the problem, the easier and less expensive it usually is to correct.
Serving Mechanicsville and the surrounding areas
Call All-Stars Pest Control today to schedule your termite inspection and protect your home.
What to Do If You See Termites Swarming in Your Home (Virginia Homeowner Guide)
If you suddenly notice dozens of small flying insects near your windows, doors, or lights, especially in the spring — there’s a strong chance you’re looking at termite swarmers.
- 👉 Swarming termites inside your home is NOT normal
- 👉 It usually means there is an active colony nearby — or already inside
In Mechanicsville, Hanover, and the Richmond area, termite swarm season typically hits mid-March through May, especially after warm rain.
🐜 What Are Termite Swarmers?

Termite swarmers (also called alates) are reproductive termites sent out to start new colonies.
How to identify them:
- Straight antennae
- Thick, uniform waist
- Two pairs of wings (same size)
- About the size of a paperclip
⚠️ Common mistake: Many homeowners think they’re flying ants — but ants have bent antennae, pinched waists, and uneven wings.
❗ Why Termites Swarm Inside Your Home

If swarmers are outside, it could be seasonal.
If they’re inside, it’s a different story.
- A colony is inside your walls or structure
- Or directly under your home in the soil
- They’ve found a warm, controlled environment to reproduce
This is your early warning system — and honestly, it’s a gift if you catch it now.
✅ What To Do Immediately (Step-by-Step)
1. Don’t Panic — But Act Quickly
Swarmers themselves don’t cause damage — but they signal the workers already are.
2. Do NOT Spray Random Chemicals
Store-bought sprays may kill what you see, but they do nothing to eliminate the colony.
3. Capture or Photograph Them
Take a clear photo or collect a few for identification.
4. Check Key Areas
- Mud tubes on foundation walls
- Discarded wings near windows
- Soft or damaged wood
- Crawlspace or basement activity
5. Schedule a Professional Inspection
A professional can determine:
- If termites are active
- Where they’re coming from
- The extent of damage
- The best treatment option
👉 Early detection can save thousands in repairs.
🏠 What NOT To Do
- ❌ Don’t ignore it
- ❌ Don’t assume they’re ants
- ❌ Don’t rely on DIY sprays
- ❌ Don’t disturb walls or wood
💡 What Happens Next (If Termites Are Confirmed)
🛡️ Liquid Barrier Treatment (Termidor)

- Eliminates termites at the source
- Fast and effective
🪵 Termite Baiting System (Advance System)

- Monitors and eliminates colonies over time
- Provides long-term protection
- Eco-conscious approach
📍 Local Insight: Termites in Central Virginia
In Mechanicsville, Hanover, and Richmond, the primary species is the Eastern Subterranean Termite.
- Live underground
- Enter through foundation cracks
- Thrive in moisture
- Active year-round
⭐ Final Thoughts: Don’t Wait
If you see termites swarming inside your home:
👉 This is a warning sign.
- The sooner you act, the less damage occurs
- Treatment is easier and more affordable
- Your home stays protected
📞 Need Help in Mechanicsville or Richmond, VA?
All-Stars Pest Control is here to help.
- ✔ Thorough termite inspections
- ✔ Proven treatment options
- ✔ Honest recommendations
👉 Call today or schedule your inspection online.
When Is Termite Season in Richmond & Mechanicsville, VA?



If you live in Richmond, Mechanicsville, or anywhere in Central Virginia, termite season is something every homeowner should understand.
Each spring, many homeowners suddenly notice flying insects around windows, doors, and lights inside their homes. A lot of people assume they are flying ants, but in many cases, they are actually termite swarmers, which can be a sign of a nearby colony.
Knowing when termite season begins in Virginia can help you catch a problem early and protect one of your biggest investments: your home.
When Does Termite Season Start in Virginia?
In Central Virginia, termite swarm season typically begins between mid-March and early May.
The main species responsible for most termite activity in our area is the Eastern subterranean termite. These termites live underground in large colonies and become most visible during the spring when reproductive termites, called swarmers, leave the colony to start new nests.
Swarming usually occurs when:
- Humidity levels increase
- Soil temperatures begin to warm up
- A warm rain is followed by sunshine
That is why many homeowners first notice termite activity on the first warm days of spring.
What Is a Termite Swarm?



A termite swarm is the colony’s way of reproducing and expanding.
During a swarm, hundreds or even thousands of winged termites leave the nest looking for a place to start a new colony. After landing, they shed their wings, pair up, and search for soil and wood where they can begin nesting.
If this happens inside your home, it usually means one of two things:
- A colony is already living in the structure
- A colony is very close to your home’s foundation
Signs of Termite Activity Homeowners Notice During Swarm Season
Many homeowners never actually see the full swarm. Instead, they notice the aftermath.
Common signs include:
- Piles of small wings on windowsills
- Flying insects around lights or windows
- Dead swarmers on floors
- Mud tubes on foundation walls
- Soft, blistered, or hollow-sounding wood
If you notice dozens of insects suddenly appearing indoors, it is a smart idea to schedule a professional inspection.
Why Richmond and Mechanicsville Homes Are at Risk
Central Virginia has ideal conditions for termites.
Our region offers:
- Mild winters
- Warm, humid springs
- Soils that retain moisture
- Many crawlspace homes
These conditions make subterranean termites extremely common throughout Hanover County, Mechanicsville, and the greater Richmond area.
Because termites work from behind the scenes, damage often begins long before a homeowner notices a problem.
The Best Time to Prevent Termites
The best time to deal with termites is before swarm season peaks.
A professional termite inspection can help identify:
- Early signs of termite activity
- Moisture issues that attract termites
- Entry points around the foundation
- Hidden structural vulnerabilities
Catching termite activity early can help prevent expensive repairs later.
Local Termite Inspections in Mechanicsville and Richmond
At All-Stars Pest Control, we help homeowners across Mechanicsville, Hanover, and the Richmond area protect their homes from termite damage.
Our termite inspections look for:
- Active termite colonies
- Mud tubes and hidden signs of activity
- Moisture conditions that attract termites
- Structural vulnerabilities around the home
If termites are found, we will walk you through the best treatment options and help you protect your home for the long term.
Schedule a Termite Inspection Before Swarm Season
If you are seeing flying insects inside your home this spring, do not assume they are harmless.
It may be the start of termite season.
Scheduling a professional inspection now can give you peace of mind before swarm activity reaches its peak.
Contact All-Stars Pest Control today to schedule your termite inspection in Richmond, Mechanicsville, or the surrounding area.
Flying Ants vs Termites in Virginia: How to Tell the Difference
Flying Ants vs Termites in Virginia: How to Tell the Difference
Every spring in Hanover and Mechanicsville, homeowners start seeing flying insects near windows and lights.
The first question is almost always:
“Are these flying ants… or termites?”
It’s an important distinction — because one is mostly a nuisance, and the other can cause structural damage.
Here’s how to tell the difference.
What Are Termite Swarmers?

In Central Virginia, the most common termite species is the Eastern Subterranean Termite.
Swarmer termites are reproductive termites that emerge in spring — typically mid-March through May — to start new colonies.
If you see them indoors, a colony may already be nearby.
Termite Swarmer Identifiers
- Straight antennae
- Thick, uniform waist
- Two pairs of wings the same length
- Wings often shed near windows
What Are Flying Ants?

Flying ants are reproductive ants from existing colonies. They also swarm in spring and are commonly mistaken for termites.
Most flying ants in Virginia are nuisance pests, though carpenter ants can damage wood over time.
Flying Ant Identifiers
- Bent or elbowed antennae
- Narrow, pinched waist
- Front wings are longer than back wings
- More defined body segmentation
Quick Side-by-Side Comparison

| Feature | Termites | Flying Ants |
|---|---|---|
| Antennae | Straight | Bent |
| Waist | Thick, uniform | Pinched |
| Wings | Equal length | Front longer than back |
| Body Shape | More uniform | Clearly segmented |
| Damage Risk | Potential structural damage | Usually nuisance (except carpenter ants) |
Why This Matters in Hanover & Mechanicsville
In Central Virginia, termite swarm season typically begins once temperatures consistently reach the 60s — often mid-March.
Seeing swarmers indoors can indicate:
- A nearby colony
- Possible activity inside walls or structural wood
- A mature termite population
Flying ants, on the other hand, are often seasonal and temporary.
The difference determines whether you’re dealing with a nuisance… or a structural issue.
What To Do If You’re Not Sure
If you find winged insects indoors:
- Check the antennae (straight vs. bent)
- Look at the waist (thick vs. pinched)
- Compare wing sizes (equal vs. uneven)
- Look for discarded wings near windows or lights
If you’re still unsure, a professional inspection can confirm the species quickly and help determine next steps.
Final Takeaway
Flying ants and termites look similar — especially to the untrained eye.
But the differences are clear when you know what to look for:
Straight antennae. Thick waist. Equal wings.
That’s termites.
If you’re in Hanover or Mechanicsville and seeing swarmers this spring, identifying them correctly is the first step.
About All-Stars Pest Control
All-Stars Pest Control provides professional termite inspections and preventative solutions for homeowners throughout Hanover County and the surrounding Richmond area.
If you suspect termite activity — or simply want reassurance before swarm season — schedule an inspection and protect your investment.
Signs of Termite Damage Homeowners Miss Before Swarm Season in Virginia
Signs of Termite Damage Homeowners Miss (Before Swarm Season in Virginia)
Most homeowners wait until they see swarmers to think about termites.
By then, the colony has often been active for months — sometimes years.
In Hanover County and throughout Mechanicsville, swarm season typically begins in mid-March. But damage usually starts long before that.
Here are the subtle warning signs many homeowners overlook.
1. Mud Tubes Along the Foundation

Subterranean termites build mud tubes to:
- Protect themselves from dry air
- Travel between soil and wood
- Maintain moisture
Homeowners often miss these because they’re hidden in crawl spaces, blend into foundation walls, or get mistaken for dried dirt.
If you see pencil-width tubes climbing your foundation, it’s not random debris.
2. Wood That Sounds Hollow
Termites eat wood from the inside out. That means the surface can look normal while the interior structure is compromised.
Common areas this shows up:
- Door frames
- Window sills
- Baseboards
- Sill plates in crawl spaces
Try tapping lightly on trim or framing. If it sounds hollow, papery, or unusually thin, it deserves a closer look.
3. Doors and Windows That Suddenly Stick
Homeowners often blame humidity, but termite activity can contribute to:
- Warping
- Internal structural weakening
- Subtle shifting in framing
If a door that once closed smoothly suddenly sticks, it’s worth investigating — especially in older homes throughout Hanover.
4. Bubbling or Blistering Paint

This is frequently confused with water damage. But termites tunneling close to drywall surfaces can cause:
- Paint to bubble or blister
- Walls to appear uneven
- Small pinholes in drywall
It’s subtle — but it’s one of the most commonly missed signs before swarm season.
5. Discarded Wings Near Windows
In early spring, termite swarmers shed their wings after mating. Homeowners often sweep them up without thinking.
Finding small, translucent wings near:
- Windows
- Light fixtures
- Entry doors
…can indicate a nearby colony — even if you never actually see the swarm.
Why Damage Is Often Missed Before March
In Central Virginia:
- Winter activity continues below the frost line
- Colonies can remain active inside heated homes
- Swarmers are not visible yet
That means February and early March are often “quiet damage” months.
By the time swarmers appear, feeding may already have occurred.
Hanover & Mechanicsville Homeowners: Why Timing Matters
Once daytime temperatures consistently reach the 60s, swarm season can begin quickly in this region.
Late winter inspections help homeowners:
- Identify activity early
- Install monitoring systems
- Address moisture in crawl spaces
- Avoid emergency treatment during peak season
Final Takeaway
Termite damage is rarely dramatic at first.
It’s subtle. Quiet. Hidden.
Mud tubes. Hollow wood. Tight doors. Bubbling paint. Discarded wings.
These are the warning signs homeowners miss — right before swarm season begins.
If you’re unsure, a professional inspection provides clarity before activity becomes visible in spring.
About All-Stars Pest Control
All-Stars Pest Control provides professional termite inspections and preventative solutions for homeowners throughout Hanover County and the surrounding Richmond area.
If you suspect activity — or simply want reassurance before swarm season — schedule an inspection and protect your investment.
Are Termites Active in Winter in Virginia?
Are Termites Active in Winter in Virginia? What Hanover Homeowners Need to Know
Short answer: Yes — but not the way most people think.
Many homeowners assume termites “die off” or “hibernate” once temperatures drop. In reality, termites can remain active year-round — they just operate differently in colder months.
Understanding winter termite behavior can help you prevent serious structural damage before spring swarming season begins.
The Most Common Termite in Virginia: Eastern Subterranean Termite

In Hanover County and the greater Richmond area, the primary species we deal with is the Eastern Subterranean Termite.
These termites live underground and build colonies in the soil. Unlike drywood termites found in some southern coastal states, subterranean termites rely on moisture and soil contact to survive.
What Happens to Termites in Winter?
Termites do not hibernate.
Instead, in cold weather, they often:
- Move deeper into the soil below the frost line
- Remain active inside heated structures
- Continue feeding on wood around the clock
When outside soil temperatures drop, termite colonies typically retreat further underground where temperatures stay more stable.
If termites have already established themselves near your home’s foundation, they can continue feeding inside wall voids, crawl spaces, and sill plates — completely out of sight.
Why Winter Can Be Deceptive
Winter is often when infestations can go unnoticed the longest.
There are usually:
- No swarmers flying
- No obvious activity outside
- No clear warning signs
But inside walls and structural wood, activity may still be happening.
By the time spring swarmers appear, the colony may have already been feeding for months.
Where Winter Termite Activity Typically Occurs

In the winter months, termite activity is most commonly found in:
- Crawl spaces
- Basement walls
- Foundation expansion joints
- Sill plates
- Wood-to-soil contact areas
- Behind insulation
Because homes are heated, they provide a stable environment for termites to continue feeding.
Do Termites Survive Freezing Temperatures?
Yes — colonies survive winter by:
- Moving below the frost line
- Using mud tubes to retain moisture and regulate temperature
- Staying inside heated structures
While individual termites are vulnerable to extreme cold, the colony as a whole is protected underground. Freezing air temperatures do not eliminate termite problems.
When Does Termite Season Start in Virginia?

In Central Virginia, swarm season typically begins:
Mid-March through May
Warm days following heavy spring rains often trigger swarming activity.
But here’s the key: Swarming is not the beginning of an infestation — it’s evidence the colony has already matured.
Winter Warning Signs to Watch For
Even in February, homeowners should look for:
- Mud tubes on foundation walls
- Soft or blistering wood
- Buckling floors
- Tight-fitting doors or windows
- Hollow-sounding trim
If you see any of these signs during winter, activity may already be established.
Why Late Winter Is the Smartest Time for Inspection
From a preventative standpoint, February and early March are ideal for:
- Annual termite inspections
- Installing monitoring systems
- Addressing moisture issues in crawl spaces
- Sealing foundation penetrations
Waiting until swarmers appear means you’re reacting — not preventing.
Final Word for Hanover & Mechanicsville Homeowners
Termites are not a “spring-only” issue.
They can be active year-round — especially inside heated homes.
Winter is quiet. Spring is visible. Damage can happen in both.
If you’re unsure about the condition of your home, a professional inspection can provide peace of mind before swarm season begins.
Local Note
In Mechanicsville and Hanover County, termite activity often increases rapidly once consistent daytime temperatures reach the 60s.
With spring only weeks away, now is the time to make sure your home isn’t already supporting a hidden colony.
About All-Stars Pest Control
All-Stars Pest Control provides professional termite inspections and preventative solutions for homeowners throughout Hanover County and the surrounding Richmond area.
If you suspect activity — or simply want reassurance before swarm season — schedule an inspection and protect your investment.
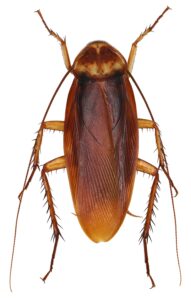
American Cockroaches in Virginia: What Homeowners Need to Know
American Cockroaches in Virginia: What Homeowners Need to Know
If you’ve ever seen a large reddish-brown cockroach dart across your floor at night, chances are you’ve encountered an American cockroach. These pests aren’t just unsettling—they’re often a sign of moisture issues, hidden entry points, and favorable living conditions inside your home or business.

The American cockroach (Periplaneta americana) is one of the largest and most common cockroach species found in Virginia. Despite the name, they are commonly found worldwide and thrive in warm, damp environments.
- Scientific name: Periplaneta americana
- Size: 1.5 to 2 inches long
- Color: Reddish-brown
- Capable of short bursts of flight or gliding

How to Identify Them
- Distinct yellowish “figure-8” pattern behind the head
- Long, active antennae
- Fully developed wings
- Fast-moving, especially when exposed to light
Where Do American Cockroaches Come From?
American cockroaches are typically found in areas with high moisture and organic material. They often originate from:
- Sewer systems
- Basements and crawl spaces
- Floor drains
- Commercial kitchens and boiler rooms
Once inside, they seek out warmth, moisture, and food sources.

Signs of an Infestation

- Seeing large roaches at night
- Musty or oily odor
- Small, dark droppings
- Egg cases (oothecae)
- Increased activity in kitchens and bathrooms
Why You See Them at Night

American cockroaches are nocturnal. If you’re seeing them during the day, it may indicate:
- A larger infestation
- Limited hiding spaces
- Increased competition for food
How They Get Inside

- Gaps around plumbing lines
- Foundation cracks
- Door thresholds
- Utility penetrations
- Drain systems
How to Prevent American Cockroaches
- Seal cracks and entry points
- Fix leaks and reduce moisture
- Keep food sealed and areas clean
- Maintain drains and plumbing
- Schedule routine pest inspections
The All-Stars Approach
At All-Stars Pest Control, we don’t just treat the problem—we identify the source and build a long-term solution.
- Comprehensive inspection of entry points
- Moisture and environmental assessment
- Targeted treatment plans
- Ongoing protection options
Schedule Your Inspection Today
If you’re seeing American cockroaches in your home or business, don’t wait. Early detection leads to faster, more effective control.
Contact All-Stars Pest Control today to schedule your inspection and protect your property.
Crawlspace Insulation Issues: Pests, Moisture & Fungus in Virginia Homes
Your crawlspace might be out of sight, but it shouldn’t be out of mind. In Mechanicsville, Richmond, and Hanover County, homeowners are often surprised to learn that failing crawlspace insulation is one of the biggest causes of high energy bills, poor air quality, and even pest infestations.
At All-Stars Pest Control, we see it every week: insulation that’s sagging, moldy, or completely destroyed — all because of pests, moisture, or fungus. Here’s what every homeowner should know.
How Pests Destroy Crawlspace Insulation
Crawlspaces are the perfect hiding place for rodents, squirrels, and even insects. Once inside, they:
-
Tear and shred insulation to build nests.
-
Leave droppings and urine that contaminate the insulation.
-
Chew through nearby wood or wiring, causing bigger headaches.
If you’ve heard scratching under your floors or noticed strange odors, pests may already be ruining your insulation.
The Silent Problem: Moisture
Moisture is one of the most common crawlspace problems in Virginia. High humidity and poor ventilation cause insulation to:
-
Get wet and heavy, sagging down from the joists.
-
Lose its ability to regulate temperature.
-
Becomes a breeding ground for mold and mildew.
That musty smell in your home? It often starts in the crawlspace.
Fungus & Mold Growth
When moisture lingers, fungus takes hold. Insulation and wooden beams are prime targets, and once growth begins, it spreads quickly. Mold spores don’t stay in the crawlspace — they circulate into your living space through the stack effect, impacting your family’s health.
Warning signs include:
-
Musty odors indoors.
-
Allergies or breathing problems that get worse at home.
-
Visible black or green growth on insulation or wood.
Signs Your Crawlspace Insulation Needs Attention
-
Uneven or cold floors above the crawlspace.
-
Higher-than-normal energy bills.
-
Insulation is falling or hanging down.
-
Visible moisture or standing water.
If you’ve noticed any of these, it’s time to take action.
Why Fixing It Matters
-
Lower Energy Costs – Proper insulation keeps your HVAC from working overtime.
-
Healthier Air – Eliminating mold, fungus, and pest allergens improves indoor air quality.
-
Protects Home Value – A clean, healthy crawlspace makes your home more attractive to buyers.

All-Stars Crawlspace Solutions
At All-Stars Pest Control, we don’t just cover up the problem — we fix it at the source. Our crawlspace services include:
-
Full inspections with photos and moisture readings.
-
Pest removal and exclusion services.
-
Fungus and wood treatment.
-
Vapor barriers and moisture control.
-
Insulation replacement with durable, moisture-resistant options.
Schedule Your Crawlspace Inspection Today
If you’re in Mechanicsville, Richmond, Hanover County, or surrounding areas, now is the time to get ahead of costly crawlspace damage.
Call All-Stars Pest Control today to schedule your crawlspace inspection. 804-306-1052
Your crawlspace may be hidden, but your peace of mind doesn’t have to be.
Stop Moisture Problems Before They Destroy Your Home: The Benefits of Crawl Space Encapsulation
When most homeowners think of protecting their home, they picture the roof, siding, and foundation. But one of the most overlooked (and most damaging) issues starts right under your feet — in the crawl space.
Moisture in your crawl space can create serious problems, including:
- Wood rot and structural damage
- Fungus and mildew growth that can spread into your living space
- Musty odors and poor indoor air quality
- Increased pest activity (termites, ants, rodents love damp conditions)
- Higher energy bills due to excess humidity
The good news? Crawl space encapsulation is a proven way to stop these issues before they spiral out of control.
What Is Crawl Space Encapsulation?
Encapsulation is the process of sealing off your crawl space with a heavy-duty vapor barrier, insulation, and in many cases, a dehumidifier. By creating a dry, controlled environment, you prevent ground moisture and outside humidity from entering your home.
Think of it as putting your crawl space in a protective bubble — one that keeps out dampness, pests, and costly damage.
Benefits of Crawl Space Encapsulation
- Protects Your Investment – Prevents wood decay, foundation damage, and expensive repairs.
- Improves Air Quality – Keeps fungal spores, mildew, and musty odors from seeping into your living space.
- Keeps Pests Out – Termites, ants, spiders, and rodents are far less likely to thrive in a dry, sealed crawl space.
- Energy Savings – A sealed crawl space helps your HVAC system run more efficiently, lowering utility bills.
- Peace of Mind – You’ll know the hidden part of your home is protected year-round.
Signs You May Need Encapsulation
Standing water or damp soil under your home- Musty odors inside your house
- Visible mold or mildew on wood and insulation
- Sagging or damaged insulation in the crawl space
- Pest activity in or around your crawl space
If you notice any of these, it’s time to act before small problems become costly repairs.
[Media - conductive conditions]
Take Action Today
At All-Stars Pest Control, we specialize in crawl space encapsulation and moisture control solutions tailored to your home. Our team uses proven products and expert installation to protect your crawl space, improve your air quality, and safeguard your investment.
Call us today to schedule your free inspection and estimate. Don’t wait until moisture turns into major damage — protect your home now!











